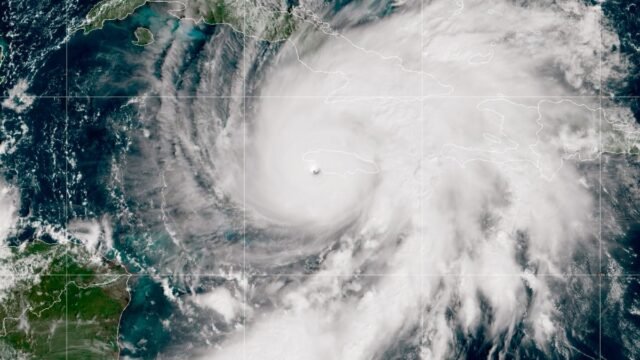
Milzīga, lēni kustīga viesuļvētra dodas cauri Karību jūras reģionam.
Pēc trieciena Jamaikā un nodarot lielus postījumus, saskaņā ar The GuardianKubu skārusi viesuļvētra Melisa. Ziņu izdevums ziņo, ka šī ir spēcīgākā 5. kategorijas vētra, kas skārusi Jamaiku, kopš tā sāka reģistrēt vētras 1851. gadā, guess ir palēninājusies līdz 3. kategorijai salīdzinājumā ar Kubu. Tomēr tas turpinās izraisīt iznīcināšanu, iespējams, pārceļoties uz Bahamu salām.
Vētra ir ievērojama ar to, ka tās ātrums (ļoti lēns, pārvietojas ar ātrumu 7 jūdzes stundā) un spēks (vējs līdz 180 jūdzes stundā) rada vispiemērotāko vidi iznīcināšanai.
Mashable tendenču pārskats
Videoklipi par vētru un tās ietekmi ir pieejami visos sociālajos medijos.
Šis tvīts pašlaik nav pieejams. Iespējams, tas tiek ielādēts vai ir noņemts.
Šis tvīts pašlaik nav pieejams. Iespējams, tas tiek ielādēts vai ir noņemts.
Šokējošākie un vīrusu izraisītākie video par viesuļvētras X ir no @FlynonymousWXaka Tropical Cowboy of Hazard, anonīms ASV gaisa spēku viesuļvētru mednieks, kurš ievietojis video no viesuļvētras Melisas acs. (kopš @FlynonymousWX ir anonīms, ir grūti apstiprināt videoklipu autentiskumu, taču šķiet, ka tie ir īsti, un kontā ir bijusi šāda veida satura publicēšanas vēsture.)
Šis tvīts pašlaik nav pieejams. Iespējams, tas tiek ielādēts vai ir noņemts.
Šis tvīts pašlaik nav pieejams. Iespējams, tas tiek ielādēts vai ir noņemts.
Šis tvīts pašlaik nav pieejams. Iespējams, tas tiek ielādēts vai ir noņemts.
Šis tvīts pašlaik nav pieejams. Iespējams, tas tiek ielādēts vai ir noņemts.
Guess, protams, arī AI videoklipi ir kļuvuši plaši izplatīti, kas dabas katastrofu laikā tiek parādīti ļoti bieži. Uzņemiet šo video par haizivi kāda cilvēka baseinā. Tā nav īsta.
Šis tvīts pašlaik nav pieejams. Iespējams, tas tiek ielādēts vai ir noņemts.
Labs īkšķis dabas katastrofu laikā attiecībā uz mākslīgā intelekta veidotiem videoklipiem ir sekot līdzi tam, kas aģentūrām patīk Nacionālais viesuļvētru centrs publicē — un neticēt visam, ko redzi.
Tēmas
X/Twitter vīrusu videoklipi











